
Basic Training field trips have continued in June, many thanks to HMN Training Committee Chair Peggy.
On the beautiful, cool, crispy, evening of June 15, Dave Forrer and Jan Mahon, Arboretum Director, took us (Peggy and six of the trainees) on a tour of James Madison University’s Edith J Carrier Arboretum. Jan first told us of the worth of the tree & plant communities in the arboretum and how it has grown from 26 to 125 acres since its opening in 1989. Dave then led us on various trails, pointing out many trees and how the now mainly Oak-Hickory forest was once Oak-Chestnut. We did find a 15 ft American Chestnut trying to buck the odds. We kept our eyes low too, finding spectacular examples of Indian pipe, coral fungi, Oakleaf Hydrangea, Wild Ginger, ramps, Witch-hazel (with its Cone Gall Aphid galls which Dave says look like witches’ hats) and so much more.
What a treasure of flora & fauna (we saw & heard birds too, sadly no bears which some were hoping for) the arboretum is.
– Art Fovargue, Cohort VII, June 2021
Photo at top is of Jan introducing us to the Arboretum. From l to r: Zack Perdue, Sharon Landis, Karen Milne, Jan Mahon, Dave Forrer, Peggy Plass, Angie Cromer, Tina Dove.
Click on an image below to start a slide show of the photos.

Dave talks about how the once dominant Oak-Chestnut forests have been replaced by Oak-Hickory forests. Photo by Art Fovargue. 
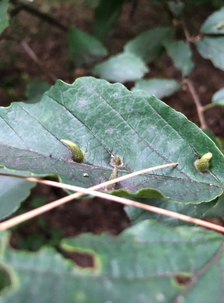
American Chestnut leaves. Photo by Art Fovargue. 
Clavarioid fungi (coral fungi) Photo by Art Fovargue. 
Alpine delphinium or Candle larkspur (Delphinium elatum) Photo by Art Fovargue. 
Hiking down the trail. Photo by Sharon Landis. 
Indian pipe (Monotropa uniflora) Photo by Sharon Landis. 
Jan pointing out an American Chestnut to the group. Photo by Art Fovargue. 
Ramps (Allium tricoccum) Photo by Sharon Landis. 
“Resting” on the bridge. Photo by Art Fovargue. 
Stinging nettle (Urtica dioica) Photo by Sharon Landis. 
Dave pointing out how the bark of White Oaks changes higher up. Photo by Art Fovargue. 
Wild Ginger (asarum) Photo by Art Fovargue. 
Witch-hazel (Hamamelis) with its Witch-hazel cone gall aphid (Hormaphis hamamelidis) galls. Photo by Sharon Landis.




